Salema, Portugal: No Soup for You!
Salema Portugal, a tiny and relaxing beach town in the Algarve, at the bottom part of Portugal and famous for grilled seafood on the beach.
Lisbon’s Bouncing Back and the Streets are Packed
If someone approaches you in Lisbon, Portugal with an open map and a plaintive look, be suspicious, warned Tanya Galdas, of BikeIberia, a company that rents out bicycles in the capital. They are very likely to be trying to snatch your wallet and cellphone that will be hidden beneath the […]
Pico, Azores: Spelunking and Exploring the Coast
We’ve spent the past few days exploring the small volcanic island of Pico, one of the nine Azores that lie just four hours by plane from Boston. I came here in 2010 but visited only the largest Azore, San Miguel, and tiny Santa Maria Island, where we found that everyone […]
Flying to the Azores Tonight and the Algarve Awaits
What could make more excited than the prospect of an overnight flight? Few things, that’s for sure. Once again Paul Shoul and I are packing up for an adventure together. This trip will begin on Pico island, in the Azores. I was last in the Azores in 2010, and Paul […]
9/11 Memories…Where Were You?
We have a collective memory about today’s anniversary date. Where were YOU on 9/11? I remember the bright sunshine of the day. It was very sunny on Tuesday, Sept 11, 2001. I was getting my eyes checked at my eye doctor, Brian Wadman, who had an office on Gatehouse Road, […]
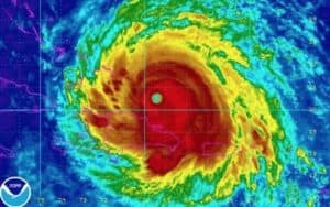
As Irma Bears Down, George and Laura Stay in Coral Gables FL
I thought about my friend George Wendell as I read the horrifying reports about the impending Hurricane Irma, bearing down on the Caribbean, and soon, the entire state of Florida. I sent him a text, asking how he and his wife Laura were doing in Coral Gables, and he gave […]
Maurice Bigras Was One of the Greatest
Life gives us so much and then takes away at the same time. I thought about this when I heard of the passing of Maurice “Moe” Bigras, a man I much respected who was a true member of the Greatest Generation. An Air Force man, he raised four kids and […]
Old Crow Medicine Show at the Pines Theater: A Blaze of Glory!
Old Crow Medicine Show played a concert at the Pines Theater in Northampton Mass. It was a spectacular outdoor show, one for the books.
Art in the Orchard is Back in Easthampton
Every two years, an apple orchard in Easthampton gets a big shot of visitors. It’s the fourth season of Art in the Orchard, an event that pairs the work of 30 sculptors from the Pioneer Valley and beyond, who exhibit their work along the meandering path through a beautiful Western […]
The Waning Days of August
I stepped outside for a smoke last night, it was only 7:30 pm and yet the sky was already getting dark. And it had nothing to do with the day’s momentous total eclipse of the sun. Sadly, it was the inevitable approach to the close of summer. It’s hard not […]
August Brings So Much Great Music to Our Valley
Summer is no doubt the time that I am thankful for living in Western Massachusetts. Combine the bounty of the farm stands, the quiet and still of early evening, and the excitement of the many outdoor music events that provide so much entertainment, and time to catch up with old […]
August at Home, But Many Fall Trips Await!
I’m happy that I am not traveling in August because I have a great big list of trips for the fall. Each one is different, and each one I’m sure will provide some great memories, photos, and stories. My next adventure will be to the Azores Islands and Portugal with […]
Jardins de Metis: Being Well Taken Care of by a Fourth Generation Owner
Grand-Metis isn’t much of a town, in fact, it’s a speck on the map on the north side of the Gaspe Peninsula in Quebec. But there is a long family tradition here being upheld by a fourth-generation owner, and it’s a place that attracts 60,000 visitors a year to tour […]
Rimouski, the Gaspesie Gateway Is Worth a Stop
Etienne Fiola grew up in rural Gaspesie, just a few dozen kilometers from where he lives now, in Rimouski, the gateway to the region. It’s the capital city of the Bas-Saint-Laurent region, just to the west of Gaspesie. We met up with Etienne for a stroll of this interesting city […]
Gaspesie, Quebec: Natural and Untouched
We’ve spent the past four days in an absolutely wonderful part of Canada, one that I had never known about until I met Suzie Loiselle in New York City last year. It is the Gaspesie, or the Gaspe Peninsula, a large area that juts out east bordered by the St. […]
New Century Theatre’s ‘The Foreigner’ is a Fun Farce with a Twist
New Century Theatre’s latest play, The Foreigner, was staged in a new venue for the summer troupe’s 27th season opener–the Pioneer Valley Performing Arts Charter School in South Hadley. Despite this somewhat unfamiliar venue, for the first time outside the familiar confines of Smith’s Mendenhall Center, the crowd was strong and […]
Green River Festival Preview, July 14-16, 2017
The Green River Festival, the Pioneer Valley’s Most Anticipated Summer Music Festival Set for July 14-16 at Greenfield Community College Everyone in the Pioneer Valley is getting excited about the biggest musical event in the area–The Green River Festival, taking place on the lawn at Greenfield Community College from July […]
Back Porch BBQ in South Deerfield Satisfies Our Need for Meat
I joined my lunchtime pal Ed today for lunch in my town, which is a rare occasion. We usually venture out to Amherst, Hadley or Northampton, but today it was a short 1-mile drive to this little spot right next to the railroad tracks for some barbecue. While I miss […]
